저것 카리브 해 그러다 극적인 순간을 겪게 된다 가장 강력한 폭풍의 영향 100년 넘게 기록됐다. 격렬한 돌풍, 폭우, 전례 없는 폭풍 해일로 인해 사이클론은 대규모 도시 지역을 완전한 파괴의 현장으로 만들었습니다. 폐허 사진과 공식 통화 현상이 계속되는 동안 계속해서 증가하십시오.
다음을 볼 수 있습니다. 최대 경고! 폭풍의 주요 단계가 시작되고 대서양은 이미 활동을 보이고 있습니다.
로 알려진 “세기의 폭풍”, 이 열대 시스템은 경로에 있는 모든 것을 파괴했으며 대서양을 통해 맹렬한 발전을 유지했습니다. 수백만 명이 현대 시대에 유례가 없는 기후 위협에 대비하고 있는 가운데, 국제적인 경고는 여전히 활발합니다.
허리케인 멜리사와 가장 큰 피해를 입은 국가
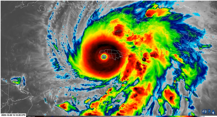
카테고리 5 허리케인으로 분류된 멜리사는 시속 295km의 지속적인 풍속으로 자메이카에 직격탄을 가해 자메이카 역사상 가장 강력한 사이클론이 되었습니다. 정부는 이 섬을 ‘국가재난상태’로 선포했다. 집, 의료 센터, 농경지가 대규모로 파괴된 후. 50만 명 이상의 주민들이 대피해야 했고 지역사회 전체가 완전히 물에 잠겼습니다.
이후. 폭풍이 쿠바를 강타했다 4학년으로 이른 아침에 쿠바 산티아고에 도착했습니다. 미구엘 디아스 카넬 대통령은 쿠바가 “최근 수십 년 동안 가장 힘든 밤 중 하나”를 겪고 있다고 경고했습니다. 50만 명 이상의 쿠바인이 대피소로 옮겨졌고, 이 지역의 넓은 지역에서 정전이 보고되었습니다.
- 확인된 데이터: 시속 250~295km의 돌풍으로 자메이카, 쿠바, 아이티, 도미니카 공화국에서 피해가 발생해 총 100만 명 이상이 대피했습니다.
사이클론의 경로로 인해 위험에 처한 지역
쿠바 동부에 본부를 두고 있으며, 멜리사는 천천히 북동쪽으로 이동합니다.바하마와 버뮤다에 가깝습니다. 따라서 미국 국립 허리케인 센터 (NHC)에 따르면 이 시스템은 앞으로 이틀 동안 파도가 4미터를 초과할 수 있고 비로 인해 산사태와 심각한 홍수가 발생할 수 있는 등 “매우 위험한” 상태를 유지할 것입니다.
관계자 바하마와 버뮤다에는 예방 대피 명령이 내려졌습니다.세계기상기구(WMO)는 대서양의 온도 상승이 이러한 현상을 가속화하고 있다고 경고했습니다. 미국에서는 해안 경비대가 심각한 폭풍으로 인해 플로리다와 동부 해안에 미칠 수 있는 영향을 모니터링하고 있습니다.
더 읽어보세요: 세기의 폭풍이 미국을 강타할 것입니다: 심각한 피해와 위험으로 인해 이 지역에 경보가 발령됩니다.
중요한 경고 영역: 산티아고 데 쿠바와 관타나모 홍수 위험으로 인해; 대피가 의무화된 바하마 제도; 간접적 영향 모니터링에 관한 버뮤다; 그리고 미국의 대서양 연안은 위험한 조수 감시를 받고 있습니다.










